Genesis 12:1-3: “Now the Lord said to Abram, ‘Go from your country, your family, and your father’s house to the land that I will show you. I will make of you a great nation; I will bless you and make your name great, so that you will be a blessing. I will bless them who bless you, and curse him who curses you, and in you all the families of the earth will be blessed.'”
Zechariah 12:2-3: “I am going to make Jerusalem a cup of reeling before all the surrounding nations. And when there is a siege against Judah, it is also against Jerusalem. And it will be on that day that I will set Jerusalem as a weighty stone to all the peoples. All who carry it will surely gash themselves, and all the nations of the land will be gathered against it.”
1. It started last month when President Barack Obama spoke at the United Nations and addressed the United Nations for the last time as president and criticized Israel for its continued “occupation and settlement of Palestinian lands.” He even went on to say that the Jewish state would be better off if it did not “permanently occupy and settle Palestinian land.” He also said that Palestinians would be better off if they were to “reject incitement.”
2. Then only five days later he President Obama calls Judea and Samaria “Palestinian,” in a vast contradiction to International Law! “Surely Israelis and Palestinians will be better off if Palestinians reject incitement and recognize the legitimacy of Israel … [and if] Israel recognizes that it cannot permanently occupy and settle Palestinian land,” Obama said.
3. Then after the death of Shimon Perez, the White House amended its transcript of President Barack Obama’s eulogy for Shimon Peres to remove “Israel” from the Jerusalem dateline. The White House sent reporters an amended the transcript that afternoon, “with a corrected header,” about nine hours after the transcript was first mailed. Instead of simply removing the word “Israel,” officials struck it through.
4. And now today we have a report that the White House has accused Israel of a betrayal of trust, in an unusually sharp rebuke over its plans to build hundreds of new settlement homes deep in the West Bank. Days after President Barack Obama approved a $38 billion Israeli military aid package and attended former president Shimon Peres’s funeral in Jerusalem, the White House railed at the construction of 300 housing units on land “far closer to Jordan than Israel.”
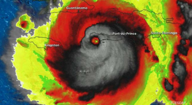
As this is being written, we have millions of residents on the East Coast being evacuated from the threat of Hurricane Matthew that has left Haiti in ruins and is predicted to cause billions of dollars in damage and areas of Tampa Bay may be left uninhabitable for weeks or months! Some reports are saying this hurricane could be worse than Hurricane Katrina that struck New Orleans in 2005. Also, on the West Coast experts are on edge as many are predicting a mega-quake could strike the San Andreas fault line after a recent earthquake swarm had taken place. The warning prompted a shutdown of city hall and residents to stock food, water and supplies.











