Prophecy: Spiritual ‘Chariot Wheels’ Being Ordered for the Last-Days Method of Transportation
“When they came up out of the water, the Spirit of the Lord took Philip away. And the…
“When they came up out of the water, the Spirit of the Lord took Philip away. And the…
I remember being in my dorm room in Bible college, having gotten radically saved just a few weeks…
Your spouse should do more to meet your needs. Really, how could your husband or wife be that…
It isn’t difficult to become overwhelmed in the midst of chaos and crisis. Imagine the crowd of five…
“If you go to Bible college, I will slice your throat and kill you!” Those were the words…
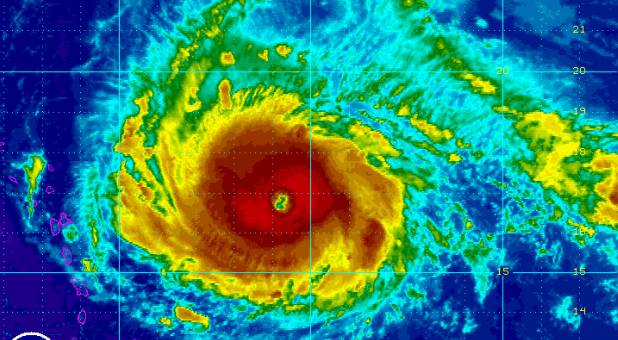
Hurricane Irma is the worst storm to come through the Atlantic in more than a decade with rumors…
In 1980, at age 59, Dois Rosser Jr. sat at his kitchen table, staring at two columns he…
No sooner had the Nashville Statement on biblical sexuality been issued then we began to hear a common…
When the solar eclipse crossed over the continental United States two weeks ago, it was immediately followed by…
Hurricane Harvey left Texas homeowners despondent. But volunteer teams from Samaritan’s Purse have made all the difference. See…











Flipbooks are available to paid subscribers only. Subscribe now or log in for access.