Donald Trump Offers a 4-Point Plan for Working Families
Tuesday evening in Philadelphia, Republican presidential candidate Donald Trump unveiled four proposals he said were part of his…
Tuesday evening in Philadelphia, Republican presidential candidate Donald Trump unveiled four proposals he said were part of his…
Are we raising kids to be fake Christians? Kendy Casey Dean, a professor at Princeton Theological Seminary, says…
Fifty religious leaders from the Christian and Muslim minorities in India met together last week to discuss the…
Police arrested a Connecticut pastor on charges of drug possession when they found bags of cocaine in his…
For months, there has been a rumor that Democratic presidential nominee was suffering from Parkinson’s Disease, and for…
Your situation may seem too difficult for a miracle, perhaps there is no medical cure, or it has…
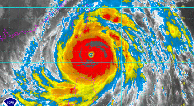
Super Typhoon Meranti is closing in on Taiwan and mainland China. The storm has been upgraded from a…
Hillary Clinton’s collapse during the 9/11 memorial service in New York on Sunday has kept TV doctors busy…
‘The Exorcist,’ Fox, premieres Sept. 23 The premise in about 100 words: Angela Rance (Geena Davis) is pretty…
Troy Newman, president of Operation Rescue, announced Tuesday he was endorsing Republican presidential nominee Donald Trump. “After examining…











Flipbooks are available to paid subscribers only. Subscribe now or log in for access.